Terry Road Seniors House - Planning Proposal Approved
/Working on behalf of Ryde Eastwood Leagues Club and in association with Pier Property Corp (Project Managers) and Ethos Urban (Planning) we are very happy that the site specific DCP and LEP for this site has been approved after many years of work.
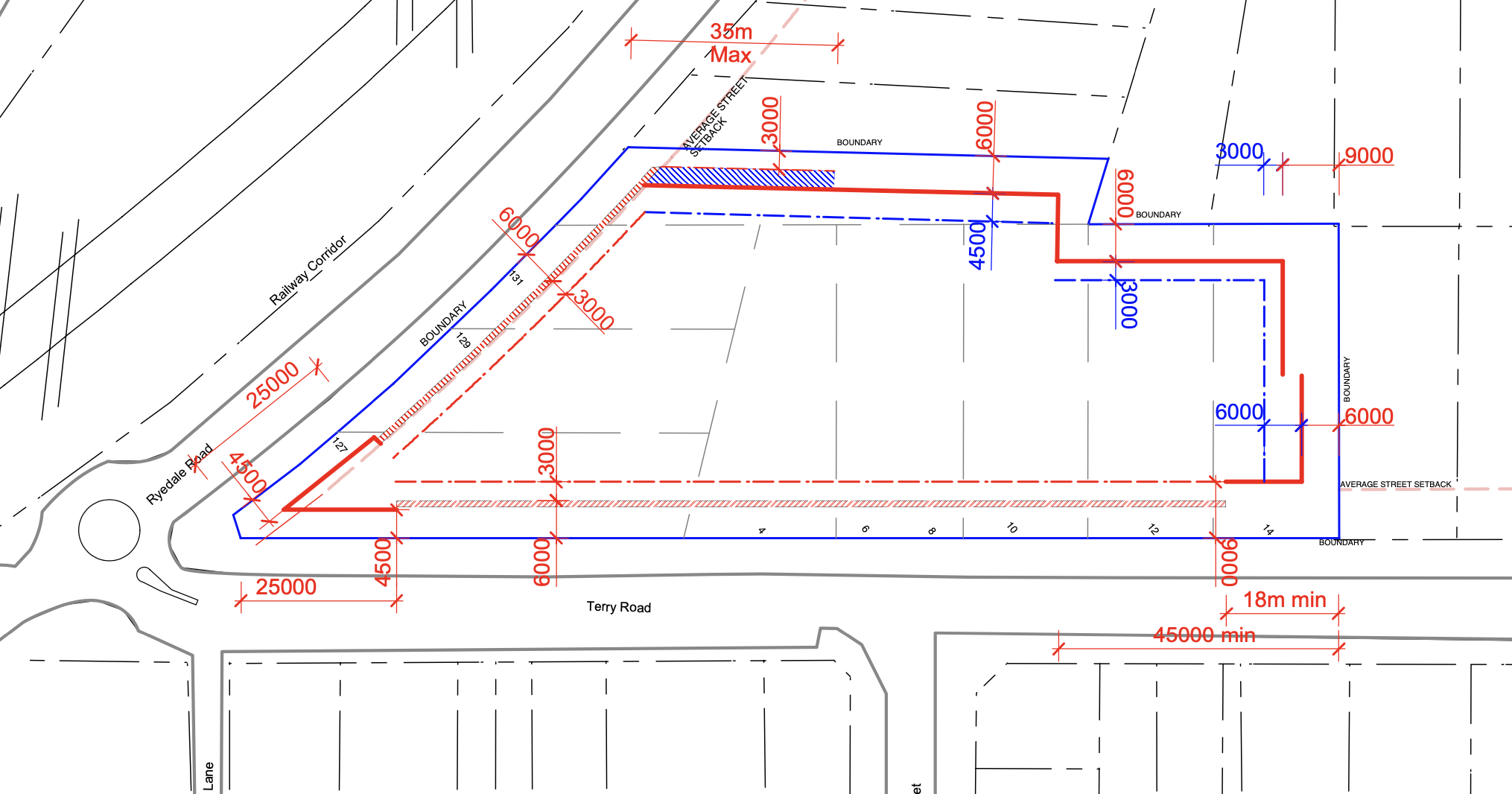
SIte Uplift includes FSR increased to an average 1.2:1 across the lots. A height plane established across the site to allow up to 5 storeys at the interface the to commercial zone. The site becomes a transition both in scale but in lifestyle with Seniors Housing becoming a permitted use in the zone.
We look forward to bringing you further updates on this exciting project.
